发布者:系统管理员发布时间:2017-09-23浏览次数:50
昆虫纲 》 半翅目 》 负子蝽科Insecta >> Hemiptera >> Belostomatidae
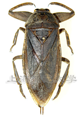
大田鳖 Lethocerus deyrollei
大田鳖体长48~65mm。体黑褐色,前足为捕捉足,呼吸管超出翅末端。
分布:全国广布。馆藏标本数:4
分布:全国广布。
馆藏标本数:4
版权所有 © 中国·ok138太阳集团(有限公司)-官方网站|Officials Website徐汇校区:上海市徐汇区桂林路100号奉贤校区:上海市奉贤区海思路100号电话:021-64322143、021-57123994